Územný plán pre obec Ľubietová
Hlavičkový obrázok

Územný plán sídelného útvaru Ľubietová, Zmeny a doplnky č. 3 z 21.1.2022

Oznámenie.pdf (z dňa 21.1.2022, veľkosť 196 kB, Text oznámenia - Oznámenie /S/, zobraz)

informácia pre verejnosť-Územný plán sídelného útvaru Ľubietová, Zmeny a doplnky č. 3.pdf (z dňa 21.1.2022, veľkosť 130 kB, Informácia o oznámení - Oznámenie /S/, zobraz)

ĽUBIETOVÁ č. 3 4,5 400.pdf (z dňa 21.1.2022, veľkosť 606 kB, Text strategického dokumentu, zobraz)

LUBIETOVA_ZaD3_2a-210820.jpg (z dňa 21.1.2022, veľkosť 2097 kB, Text strategického dokumentu, zobraz)

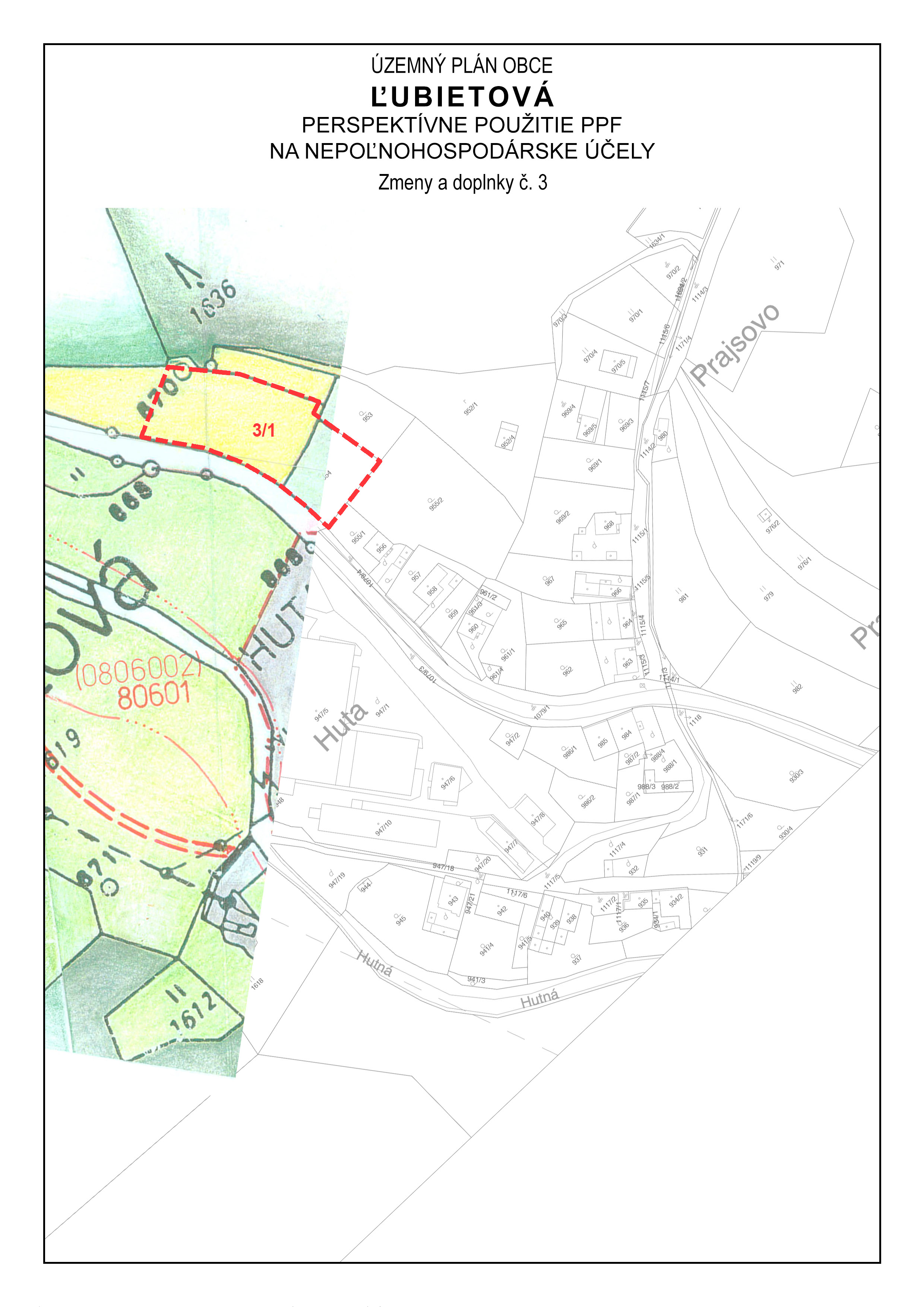
LUBIETOVA_ZaD3_2b-210820.jpg (z dňa 21.1.2022, veľkosť 586 kB, Text strategického dokumentu, zobraz)

LUBIETOVA_ZaD3_3a-210820.jpg (z dňa 21.1.2022, veľkosť 1345 kB, Text strategického dokumentu, zobraz)

LUBIETOVA_ZaD3_3b-210820.jpg (z dňa 21.1.2022, veľkosť 507 kB, Text strategického dokumentu, zobraz)

LUBIETOVA_ZaD3_4a-210820.jpg (z dňa 21.1.2022, veľkosť 861 kB, Text strategického dokumentu, zobraz)

LUBIETOVA_ZaD3_4b-210820.jpg (z dňa 21.1.2022, veľkosť 447 kB, Text strategického dokumentu, zobraz)

LUBIETOVA_ZaD3_5a-210820.jpg (z dňa 21.1.2022, veľkosť 1498 kB, Text strategického dokumentu, zobraz)

LUBIETOVA_ZaD3_5b-210820.jpg (z dňa 21.1.2022, veľkosť 623 kB, Text strategického dokumentu, zobraz)

LUBIETOVA_ZaD3_6a-210820.jpg (z dňa 21.1.2022, veľkosť 1250 kB, Text strategického dokumentu, zobraz)

LUBIETOVA_ZaD3_6b-210820.jpg (z dňa 21.1.2022, veľkosť 551 kB, Text strategického dokumentu, zobraz)

Rozhodnutie.pdf (z dňa 20.5.2022, veľkosť 349 kB, Text rozhodnutia zo zisťovacieho konania - Oznámenie /S/, zobraz)


(©) Zdroj údajov: pre MŽP SR vytvára SAŽP v Informačnom systéme posudzovania vplyvov na životné prostredie .

„Zmeny a doplnky č.2 územného plánu obce Ľubietová “ z 27.6.2016

LUBIETOVÁ ZaD 2 Oznámenie.pdf (z dňa 27.6.2016, veľkosť 291 kB, Text oznámenia - Oznámenie /S/, zobraz)

Ľubietová_č.2_1.pdf (z dňa 27.6.2016, veľkosť 1202 kB, Text oznámenia - Oznámenie /S/, zobraz)

Ľubietová_č.2_2A.pdf (z dňa 27.6.2016, veľkosť 309 kB, Text oznámenia - Oznámenie /S/, zobraz)

Ľubietová_č.2_2B.pdf (z dňa 27.6.2016, veľkosť 204 kB, Text oznámenia - Oznámenie /S/, zobraz)

Ľubietová_č.2_3A.pdf (z dňa 27.6.2016, veľkosť 349 kB, Text oznámenia - Oznámenie /S/, zobraz)

Ľubietová_č.2_4A.pdf (z dňa 27.6.2016, veľkosť 360 kB, Text oznámenia - Oznámenie /S/, zobraz)

Ľubietová_č.2_4B.pdf (z dňa 27.6.2016, veľkosť 239 kB, Text oznámenia - Oznámenie /S/, zobraz)

Ľubietová_č.2_5A.pdf (z dňa 27.6.2016, veľkosť 296 kB, Text oznámenia - Oznámenie /S/, zobraz)

Ľubietová_č.2_text.pdf (z dňa 27.6.2016, veľkosť 285 kB, Text oznámenia - Oznámenie /S/, zobraz)

informacia pre verejnost.doc-1.pdf (z dňa 27.6.2016, veľkosť 198 kB, Informácia o oznámení - Oznámenie /S/, zobraz)

Rozhodnutie-Lubietová.pdf (z dňa 31.8.2016, veľkosť 200 kB, Text rozhodnutia zo zisťovacieho konania - Oznámenie /S/, zobraz)


(©) Zdroj údajov: pre MŽP SR vytvára SAŽP v Informačnom systéme posudzovania vplyvov na životné prostredie .

Územný plán obce Ľubietová zmeny a doplnky č.1 z 3.5.2016

LUBIETOVÁ ZaD 1 Oznámenie.pdf (z dňa 3.5.2016, veľkosť 290 kB, Text oznámenia - Oznámenie /S/, zobraz)

ĽUBIETOVÁ č 1 45 400.pdf (z dňa 3.5.2016, veľkosť 189 kB, Text oznámenia - Oznámenie /S/, zobraz)

lubietova_1.jpg (z dňa 3.5.2016, veľkosť 2133 kB, Text oznámenia - Oznámenie /S/, zobraz)

lubietova_2.jpg (z dňa 3.5.2016, veľkosť 4301 kB, Text oznámenia - Oznámenie /S/, zobraz)

lubietova_3A.jpg (z dňa 3.5.2016, veľkosť 8134 kB, Text oznámenia - Oznámenie /S/, zobraz)

lubietova_3B.jpg (z dňa 3.5.2016, veľkosť 2505 kB, Text oznámenia - Oznámenie /S/, zobraz)

lubietova_4A.jpg (z dňa 3.5.2016, veľkosť 1723 kB, Text oznámenia - Oznámenie /S/, zobraz)

lubietova_4B.jpg (z dňa 3.5.2016, veľkosť 2731 kB, Text oznámenia - Oznámenie /S/, zobraz)

lubietova_4C.jpg (z dňa 3.5.2016, veľkosť 2885 kB, Text oznámenia - Oznámenie /S/, zobraz)

lubietova_4D.jpg (z dňa 3.5.2016, veľkosť 2783 kB, Text oznámenia - Oznámenie /S/, zobraz)

lubietova_4F.jpg (z dňa 3.5.2016, veľkosť 2539 kB, Text oznámenia - Oznámenie /S/, zobraz)

lubietova_5A.jpg (z dňa 3.5.2016, veľkosť 1766 kB, Text oznámenia - Oznámenie /S/, zobraz)

lubietova_5B.jpg (z dňa 3.5.2016, veľkosť 2878 kB, Text oznámenia - Oznámenie /S/, zobraz)

lubietova_5C.jpg (z dňa 3.5.2016, veľkosť 3077 kB, Text oznámenia - Oznámenie /S/, zobraz)

lubietova_5D.jpg (z dňa 3.5.2016, veľkosť 2785 kB, Text oznámenia - Oznámenie /S/, zobraz)

lubietova_5E.jpg (z dňa 3.5.2016, veľkosť 930 kB, Text oznámenia - Oznámenie /S/, zobraz)

lubietova_5F.jpg (z dňa 3.5.2016, veľkosť 2176 kB, Text oznámenia - Oznámenie /S/, zobraz)

lubietova_5-legenda.jpg (z dňa 3.5.2016, veľkosť 724 kB, Text oznámenia - Oznámenie /S/, zobraz)

lubietova_6A.jpg (z dňa 3.5.2016, veľkosť 2099 kB, Text oznámenia - Oznámenie /S/, zobraz)

lubietova_6B.jpg (z dňa 3.5.2016, veľkosť 1924 kB, Text oznámenia - Oznámenie /S/, zobraz)

lubietova_6C.jpg (z dňa 3.5.2016, veľkosť 2137 kB, Text oznámenia - Oznámenie /S/, zobraz)

lubietova_6D.jpg (z dňa 3.5.2016, veľkosť 2073 kB, Text oznámenia - Oznámenie /S/, zobraz)

lubietova_6E.jpg (z dňa 3.5.2016, veľkosť 1147 kB, Text oznámenia - Oznámenie /S/, zobraz)

lubietova_6F.jpg (z dňa 3.5.2016, veľkosť 2143 kB, Text oznámenia - Oznámenie /S/, zobraz)

lubietova_6-legenda.jpg (z dňa 3.5.2016, veľkosť 760 kB, Text oznámenia - Oznámenie /S/, zobraz)

informacia pre verejnost Lubietová.pdf (z dňa 3.5.2016, veľkosť 198 kB, Informácia o oznámení - Oznámenie /S/, zobraz)

Rozhodnutie-Lubietová 1.pdf (z dňa 31.8.2016, veľkosť 200 kB, Text rozhodnutia zo zisťovacieho konania - Oznámenie /S/, zobraz)


(©) Zdroj údajov: pre MŽP SR vytvára SAŽP v Informačnom systéme posudzovania vplyvov na životné prostredie .